首頁 TV 專題 搜尋
  • 世界盃
  • 金曲37
  • Facebook粉絲團
  • ig
  • Youtube
  • TTV Podcast Podcast
  • 搜尋
  • LIVE直播
  • 即時
  • 焦點
  • 政治
  • 國際
  • 社會
  • 娛樂
  • 生活
  • 氣象
  • 地方
  • 健康
  • 體育
  • 財經
  • 影音
  • 專題
  • 即時
  • 焦點
  • 政治
  • 國際
  • 社會
  • 娛樂
  • 生活
  • 氣象
  • 地方
  • 健康
  • 體育
  • 財經
  • 影音
  • 專題
  • 2026世界盃
  • 金曲37

點擊收回

快訊跑馬
兆元宴後再聚供應鏈 黃仁勳乾杯謝台灣夥伴喊「沒有你們做不到」
22:15
兆元宴後再聚供應鏈 黃仁勳乾杯謝台灣夥伴喊「沒有你們做不到」
宜蘭佛光山蘭陽別院氣爆  瀰漫濃濃瓦斯味
22:35
宜蘭佛光山蘭陽別院氣爆 瀰漫濃濃瓦斯味
鋒面襲花蓮  瞬間強降雨導致台30線土石坍落緊急封路
22:43
鋒面襲花蓮 瞬間強降雨導致台30線土石坍落緊急封路
鋒面遠離全台略降溫「台南防高溫」 薔蜜下周近台帶雨勢
07:41
鋒面遠離全台略降溫「台南防高溫」 薔蜜下周近台帶雨勢
市場樂觀美伊達停火協議、科技股勁揚 美股收紅盤「道瓊大漲363點」
08:16
市場樂觀美伊達停火協議、科技股勁揚 美股收紅盤「道瓊大漲363點」
GD今晚K-SPARK拼盤演唱會開唱 搭專機降落高雄謝粉絲冒雨接機
08:44
GD今晚K-SPARK拼盤演唱會開唱 搭專機降落高雄謝粉絲冒雨接機
寮國洞穴淘金客遇洪水山崩 受困逾一週救出第一人!
09:26
寮國洞穴淘金客遇洪水山崩 受困逾一週救出第一人!
被詹江村嗆「回美國去、不用操心台灣人的事」 金溥聰148字回擊!
11:13
被詹江村嗆「回美國去、不用操心台灣人的事」 金溥聰148字回擊!
薔蜜最快今轉中颱! 下週一最近台灣「北部、東北部轉雨」
11:21
薔蜜最快今轉中颱! 下週一最近台灣「北部、東北部轉雨」
少林方丈釋永信包養7女育21名私生子、侵吞13億還收賄 遭重判24年
11:36
少林方丈釋永信包養7女育21名私生子、侵吞13億還收賄 遭重判24年

颱風最新消息

  • 辛樂克颱風眼浮現!估達強颱等級 專家:暴風半徑恐...
    氣象
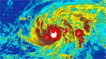
    辛樂克颱風眼浮現!估達強颱等級 專家:暴風半徑恐...
    2026.04.12 11:15
    今年第4號颱風辛樂克持續增強中,根據中央氣象署資料,辛樂克今(12)日上午8時中心位於北緯9.7度、東經151.2度,以每小時13公里速度向北北西進行。氣象專家吳德榮在專欄文章中表示,歐、美系集模式皆...
  • 首頁
  • 颱風最新消息
      • 台視影音文化資產
      • 頻道位置
      • 節目表
      • 社群平台
      • 更正與澄清
      • 意見箱
      • 新聞報馬仔
      • 歷史上的今天
      • 新聞編採製播作業注意事項
      • 新聞與新聞性節目申訴案件作業流程
      • 電子報
  • 台視新聞
    • Facebook粉絲團
    • Instagram
    • Youtube

臺灣電視事業股份有限公司 版權所有 © 1962-2020 Taiwan Television Enterprise, Ltd. All Rights Reserved.